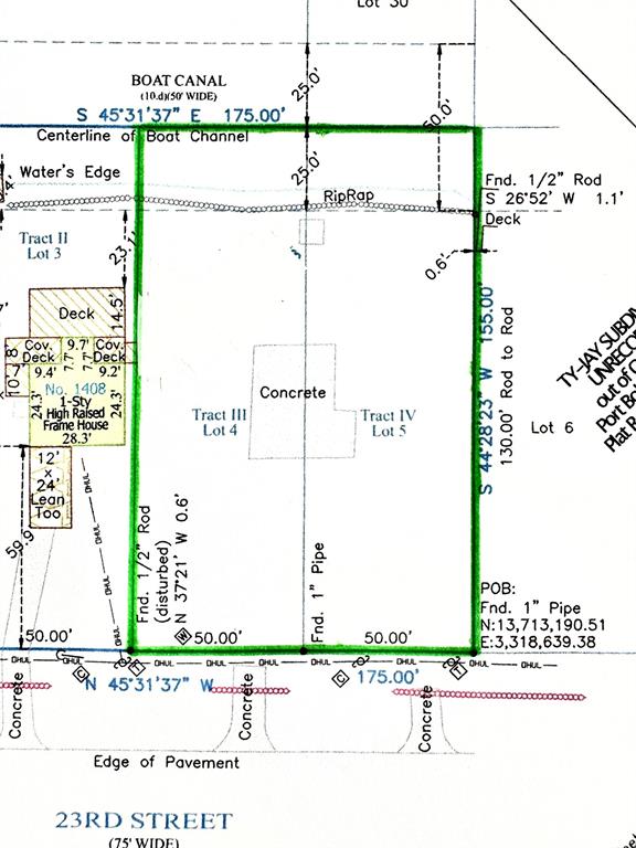
Lot 4 & 5 23rd

Two waterfront lots with bulkhead! On private canal, directly across from Laguna Harbor Subdivision gate entrance! Dock is ready to tie up your boat with launching ramp just 3 doors down! This awesome spot is perfect for your dream home on the water or RV port! This lot is the unicorn you thought may not exist but here is it! The two lots measure 50 x 155 each so you have 100′ frontage total on 23rd, 15,500 sf so plenty of room to use your imagination for your own piece of paradise. And that’s just the awesome lot description….wait until you sit on the boardwalk drinking your morning coffee while fishing in prime area! Or grab the kiddos and make crabbing a family tradition! Canal was recently dredged per seller so bring your boat and get down here! Located in a quiet area, away from the hustle and bustle and make this place your own private get-a-way! Only 2.5 miles from the ferry landing so quick trips to Galveston are a breeze! Bulkhead recently added!
Price: | $$150,000 |
---|---|
Address: | Lot 4 & 5 23rd |
City: | Port Bolivar |
State: | Texas |
Zip Code: | 77650 |
Subdivision: | TY-JAY |
MLS: | 5344193 |















Listed by: BuyCrystalBeach.com (409) 656-1920. © 2025 Houston Realtors Information Service, Inc. Information is provided exclusively for consumers' personal, non-commercial use, and may not be used for any purpose other than to identify prospective properties consumers may be interested in purchasing. All information provided is deemed reliable but is not guaranteed and should be independently verified. The listing broker’s offer of compensation is made only to participants of the MLS where the listing is filed.
Data services provided by IDX Broker